Vizitat de 166 ori , 1 Vizite azi

Mai multe imagini

Detalii Proprietate

Informații proprietate
  • Pret

    : 35,000.00€ 

  • Tip

    : Vanzare

  • Suprafata

    : 650 mp

  • Adresa

    : Vladiceasca

  • Oras

    : Vladiceasca

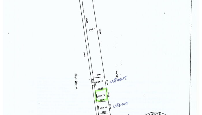
Property Description

Tere, intravian, Vladiceasca, 650 mp cu descidere 20 m, cadatru, intabulare, aproape de padure.

Dotari suplimentare

Gaze si curent

Harta Proprietate

Locatie: Vladiceasca

  • Distribuie

Trimite unui prieten

Email Agent for